Bettendorf residents may be only a sideyard setback variance away from getting their own Dunkin' Donut Shop.
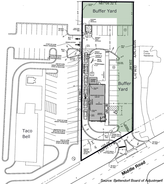
Developers have asked the Bettendorf Board of Adjustment for a variance to a 25-foot buffer yard at 3592 Middle Road, just east of the Taco Bell restaurant. The board will consider the request at its Thursday (4/12) meeting.
The parcel is properly zoned (C-2) but needs to provide a 25-foot landscape buffer to the east and north because those parcels are zoned A-2, rural residence district. The buffer requirement is intended to protect property with less intensive use from more intensive development.
City planners say the two agricultural zoned properties are "in a sea of commercially zoned lots" and the city's future land use maps has targeted the entire area bordered by Belmont, Middle and Devils Glen Roads to eventually be zoned commercial. The area has been called the "Golden Triangle" in the past because of its anticipated attraction for commercial development.
Even if the donut shop variance is approved, the development also will need to receive approval of its site plan by the city's Planning and Zoning Commission and then the city council.
Bettendorf once had two donut shops, one on 18th Street and another in the downtown, but both have long since closed.
